Phocine distemper virus

phocine distemper virus (PDV)
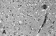
Immunohistochemical staining of the lung of a seal with PDV infection.
Virus classification
Group: Group V ((-)ssRNA)
Order: Mononegavirales
Family: Paramyxoviridae
Genus: Morbillivirus
Species: Phocine distemper virus

Phocine distemper virus (PDV) is a paramyxovirus of the genus Morbillivirus that is pathogenic for pinniped species, particularly seals.[1] Clinical signs include laboured breathing, fever and nervous symptoms.

PDV was first identified in 1988 as the cause of death of 18,000 harbor seals (Phoca vitulina) and 300 grey seals (Halichoerus grypus) along the northern European coast.

In the same year, two more outbreaks of viral disease in aquatic mammals were observed. Another Morbillivirus caused the deaths of Baikal seals (Phoca sibirica) in Lake Baikal, Siberia. This was later identified as a strain of the closely related canine distemper virus (CDV) and was probably transmitted to the seals from terrestrial animals, CDV being widespread in canines in the Lake Baikal region.

The third outbreak occurred in harbour porpoises (Phocoena phocoena) near the British Isles and the Netherlands. A third Morbillivirus, named porpoise morbillivirus was identified as the cause.

In 2002, an epidemic of PDV along the North Sea coast resulted in the deaths of 21,700 seals, estimated to be 51% of the population.

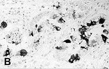
Encephalitis in a harbor seal with PDV

Antibodies to PDV and CDV have been found in a number of carnivorous mammal species in Canada, including polar bears, indicating the potential for the viruses to spread to new species.

The suddenness of the emergence of PDV and related viruses in aquatic mammals has implicated environmental changes as the cause. Pollutants have been posited as contributors by interfering with the ability of animals to mount a defense against infection. Alternatively, climate change and overfishing may have forced aquatic species that naturally harbour the viruses into new areas, exposing immunologically susceptible populations.

References

  1. "Marine Mammals: Viral Diseases". The Merck Veterinary Manual. 2006. Retrieved 2007-06-18.
This article is issued from Wikipedia - version of the 8/15/2016. The text is available under the Creative Commons Attribution/Share Alike but additional terms may apply for the media files.