Typhoon Rammasun

This article is about the 2014 tropical cyclone. For other storms of the same name, see Typhoon Rammasun (disambiguation).
Typhoon Rammasun (Glenda)
Typhoon (JMA scale)
Category 5 (Saffir–Simpson scale)

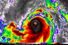
Typhoon Rammasun near peak intensity on July 18 as it skirted Hainan Island
Formed July 9, 2014 (2014-07-09)
Dissipated July 20, 2014 (2014-07-20)
Highest winds 10-minute sustained: 165 km/h (105 mph)
1-minute sustained: 260 km/h (160 mph)
Lowest pressure 935 hPa (mbar); 27.61 inHg
Fatalities 195 total
Damage $7.13 billion (2014 USD)
Areas affected
Part of the 2014 Pacific typhoon season

Typhoon Rammasun, known in the Philippines as Typhoon Glenda, was one of only two Category 5 super typhoons on record in the South China Sea, with the other being Pamela in 1954. Rammasun had destructive impacts across the Philippines, South China, and Vietnam in July 2014. It was the seventh tropical cyclone of the season to be named by the Philippine Atmospheric, Geophysical and Astronomical Services Administration (PAGASA). Rammasun is a Siamese word for thunder god.[1] After Lingling and Kajiki earlier in 2014, Rammasun became the third tropical cyclone, and first typhoon to directly impact the Philippines in 2014. The storm formed in the Intertropical Convergence Zone, an area near the equator where the northeast and southeast trade winds come together, and slowly drifted northwest. Having passed through the islands of Micronesia, the system turned west and quickly moved under the influence of a subtropical ridge (STR). Rammasun posed a significant threat to the Philippine island of Luzon, as it was expected to reach typhoon intensity before making landfall there.[2] Though initially forecast to make landfall in Cagayan Valley, the storm followed a more westerly path and was later forecast to make landfall in the Bicol Region and then pass through Bataan and Zambales before brushing past Metro Manila.[3]

In preparation for the storm, Governor of Guam Eddie Calvo declared the island in Condition of Readiness 3[4] and later upgraded it to Condition of Readiness 1. On July 11, NASA satellites revealed Rammasun passing directly over Guam.[5] American National Weather Service stated that an unexpected rise in wind shear kept the system from intensifying much further before reaching Guam. Rammasun only made landfall on Guam as a tropical depression, with winds much weaker than earlier anticipated.[6] However, under the system, the island received a substantial amount of rainfall, making that day the wettest in around 3 months. The United States territory received 25 to 50 mm (1 to 2 inches) of rain.[7] Along with the Philippines, Taiwan also expected impact from Rammasun. Moderate to heavy rainfall was predicted through most of the country.[8][9] Chinese meteorologists were focusing on second and/or third landfalls in the Chinese Hainan province and northern Vietnam. Residents of Hong Kong were also warned of rainfall and subsequent landslides.[10]

Following the closure of maritime seaports, more than 100 passengers were reportedly stranded at the Port of Batangas, along with 39 rolling cargoes. Meanwhile, at least 841 passengers were stranded in five ports in the Bicol region, namely Matnog, Tabaco, Bulan, Cataingan and Pilar.[11] A total 50 flights were cancelled and over 100 thousand families were evacuated as the typhoon neared landfall.[12][13] The Philippine Department of Health said that they have prepared all government hospitals to aid the rescue and relief process during and after the typhoon. They claimed that they are much better prepared now, than they were for earlier typhoons.[14] Ahead of the landfall, a city in the province of Albay had declared a state of calamity.[15] At around 17:00 Philippine Standard Time (09:00 UTC), Rammasun's eye passed directly over Rapu-Rapu, Albay while the storm was at its initial peak intensity.[16] Various parts of the National Capital Region reported power outages during the storm. They were reportedly caused by "a temporary system balance at 1:29 a.m. due to a sudden plant outage."[17] At least 6,000 people were stranded at various seaports throughout the country due to the storm.[18]

Throughout its devastating journey through southern Luzon, the powerful typhoon barely weakened but instead maintained its strength and even intensified as it made its way across the Bicol Region.

Meteorological history

Map plotting the track and intensity of the storm according to the Saffir–Simpson hurricane wind scale

On July 9, the United States Joint Typhoon Warning Center (JTWC) started to monitor a tropical disturbance, that had developed to the east of the Micronesian State of Chuuk.[19] At this time the system had a broad and ill defined circulation center which was associated with flaring and disorganized atmospheric convection.[19] Over the next day the system gradually consolidated within an area of favorable conditions, with convection wrapping around the systems obscured low level circulation center.[20] The system was subsequently declared a tropical depression during the next day, by both the Japan Meteorological Agency (JMA) and the JTWC with the latter assigning it the designation 09W.[21][22]

Tropical Depression 09W near Guam on July 11

Early on July 11, the JTWC reported that the system had intensified into a tropical storm, after they had assessed the intensity slightly higher than the Dvorak estimates from various agencies.[23] Later that day as the system approached Guam, the JTWC reported that the system had not intensified into a tropical storm and downgraded it to a tropical depression.[24] This was because of the lack of supporting Dvorak estimates from various agencies and various observations from Guam, that showed the system was a poorly defined low level circulation center with deep convection sheared to the northwest of the center.[24] Early on July 12, the JMA reported that the depression had become a tropical storm and named it Rammasun, as the system passed through the Rota Channel to the north of Guam.[25][26] Later that day as Rammasun moved westwards under the influence of the subtropical ridge of high pressure, the JTWC reported that it had regained tropical storm status after Dvorak estimates from various agencies supported it and the low level structure of the system had improved.[27]

Rammasun entered the Philippine area of responsibility and was given a local name, Glenda on July 13.[28] The storm maintained intensity while a burst of deep central convection developed and the LLCC became slightly more well defined.[29] Over the next couple of hours, vertical wind shear decreased gradually. Rammasun tracked in a westerly direction along the periphery of the steering subtropical ridge. Outflow improved along the southwestern quadrant[30] and Rammasun became a typhoon.[31] The LLCC consolidated while convective banding became well defined and tightly wrapped. During July 14, both the JTWC and the JMA upgraded Rammassun to a typhoon after Dvorak estimates from various agencies suggested a minimum windspeed of 65 knots (120 km/h; 75 mph).[32][33]

Typhoon Rammasun making landfall in the Philippines on July 15

Shortly before its Philippine landfall, Rammasun developed a 10 nautical miles (19 km; 12 mi) wide eye. The storm had vigorous equatorward and westward outflow. At that time, the storm was peaking at 80 knots (150 km/h; 92 mph) 1-minute sustained winds[34] and 75 knots (139 km/h; 86 mph) 10-minute sustained winds.[35] Though initially expect to maintain that intensity and make landfall before weakening into a tropical storm again due to land interaction, Rammasun further intensified. Some six hours later, the JTWC spotted a 20 nautical miles (37 km; 23 mi) eye, twice as wide as previously reported. The 1-minute sustained winds were set at 100 knots (190 km/h; 120 mph), equivalent to Category 3 of the Saffir-Simpson Hurricane Wind Scale (SSHWS).[36] Rammasun continued to strengthen, despite land interaction. Post landfall, the storm's windspeed continued to rise, as it was located in a very favorable environment. JTWC initially reported winds of 110 knots (200 km/h; 130 mph) 1-minute sustained winds[37] before correcting it to 115 knots (213 km/h; 132 mph) in their best track, making it a Category-4 equivalent typhoon.[38]

By 00:00 UTC on July 16, Rammasun's eye had re-emerged into the South China Sea. The typhoon lost its eye feature due to its interaction with Philippine's rugged terrain. The convective structure had slightly degraded. However, convective banding remained tightly wrapped around the LLCC.[39]

On July 18, Rammasun entered another area of very warm sea-surface temperatures. Consequently, Rammasun rapidly deepened and was upgraded to a Category 4 super typhoon by the JTWC,[40][41] which was upgraded to Category 5 in post-season reanalysis. Later that day, Rammasun made landfall over Hainan at peak intensity,[42] making it one of only two typhoons to make landfall at Category 5-equivalent intensity in China.[43] The next day, the storm started to weaken. Later that day, both agencies downgraded Rammasun to a tropical storm as it moved to the province of Guangxi and made its third landfall.[44][45] The JTWC made its final warning on the system in the night of the same day. Early on July 20, the JMA reported that Rammasun had weakened into a tropical depression before it was last noted later that day over the Chinese Province of Yunnan.[46][47][48]

Preparations and impact

Costliest Pacific typhoons
Storm Season Cost, equivalent
to US$ in 2015
Mireille 1991 $17.4 billion
Songda 2004 $11.3 billion
Fitow 2013 $10.6 billion
Prapiroon 2000 $8.26 billion
Herb 1996 $7.56 billion
Flo 1990 $7.26 billion
Rammasun 2014 $7.14 billion
Morakot 2009 $6.85 billion
Maemi 2003 $6.18 billion

Mariana Islands

On July 10, as the JTWC initiated advisories on the system, the United States National Weather Service Weather Forecast Office in Tiyan, Guam (NWS Guam) issued a tropical storm watch for Guam, Rota, Tinian, Saipan and surrounding waters out to 75 km (45 mi).[49][49] Later that day the Governor of Guam Eddie Calvo, declared the island nation to be in Tropical Cyclone Condition of Readiness 3 (TCCOR 3), as the strongest winds over the island were expected to peak between 80–95 km/h (50–60 mph).[50] Both of these warnings meant that destructive tropical storm force winds were possible on the islands during the next 48 hours.[49] After the system was declared a tropical storm, tropical storm warnings were issued for Guam and Rota, while TCCOR 2 was declared for Guam.[51][52][53] After TCCOR 2 was declared, all of the non essential agencies of the Guam Government and several business were shut down, including the Judiciary and University.[52][53][54][55] Six elementary schools around the island were used as storm shelters, while woman who had been pregnant for more than 38 weeks and or high risk were asked to report to the Guam Memorial Hospital.[52] A TCCOR 1 was subsequently declared during July 11, as destructive winds were expected to impact the island nation within twelve hours.[55] As a result, all outdoor activity was prohibited until early the next day when the watches and warnings were cancelled after the system was downgraded to a tropical depression.[56][57] Eddie Calvo subsequently reverted the TCCOR for Guam to the seasonal TCCOR, as no damaging or destructive winds were expected to affect Guam as the depression moved through the Rota Channel.[58] NWS Guam subsequently noted that heavy thunderstorms had developed near the center of the system as it moved through the Rota Channel and that the weather over Guam could have been a lot worse.[26]

Philippines

Typhoon Rammasun making landfall in Bicol Region on July 15
Animation of PAGASA's Storm Signal Raised in each province throughout the passage of Glenda
Aftermath of Rammasun in Jose Diokno Boulevard
This article is issued from Wikipedia - version of the 11/13/2016. The text is available under the Creative Commons Attribution/Share Alike but additional terms may apply for the media files.